Sécurisation des rues et des intersections

Oui, le secteur Joseph / Dupuis, c’est un autre de mes projets préférés! L’intersection était démesurément grande. Elle a maintenant été verdie et sécurisée.

J’irai prendre des photos, mais pour le moment voici les plans de l’appel d’offre. Les travaux sont déjà réalisés.

Toute la section en rouge était asphaltée :

10 « J'aime »

En fait, j’ai pris des photos de l’intersection il y a quelques jours


29 « J'aime »
10 « J'aime »

Wow! un vol avec un drone serait killer! et on pourrait comparer avec la photo aérienne actuelle!

1 « J'aime »

Depuis le déplacement de la 20, à partir du secteur NDG/Mtl-West il est plus rapide de rejoindre la 20 Est en descendant le chemin Avon/rue St-Jacques. L’ancien accès via la 138/boul. Ste-Anne-de-Bellevue est plus pénible car il faut se taper plusieurs feux de circulation et détours via Notre-Dame. C’est pourquoi Waze suggère le trajet via Ville St-Pierre.

1 « J'aime »

Un article et une vidéo pour la suite de la série sur la sécurité des déplacements à pied

Au Québec, les morts d’usagers de la route sont en baisse, sauf chez les piétons. Aujourd’hui, dans le cadre de notre grand dossier sur la sécurité de ceux-ci : les déplacements dans les quartiers en périphérie de Montréal.

On se sent en banlieue dans ce secteur pourtant situé en pleine île de Montréal. C’est un quartier de propriétaires de bungalows. Les rues sont larges. Rien à voir avec Le Plateau-Mont-Royal, avec Villeray ou avec l’arrondissement du Sud-Ouest, où Philippe Roy vivait avant de déménager dans l’est de la métropole, il y a cinq ans.

Dans les quartiers centraux, les automobilistes s’attendent à croiser en tout temps des piétons et des vélos. Ils sont aux aguets. Ici, au bout de la ligne bleue, la « culture du char » reste dominante. Les automobilistes sont pressés. Désinvoltes. Et parfois arrogants, comme si la rue leur appartenait, constate Philippe Roy.

Philippe Roy n’est pas le seul à se sentir indésirable lorsqu’il se déplace à pied. C’est le lot de la majorité des Canadiens, y compris au Québec : les deux tiers (67 %) de la population habitent dans des banlieues tout-à-l’auto, selon une étude du professeur David Gordon de l’Université Queen’s, à Kingston. L’étalement urbain gagne du terrain : le taux de croissance démographique de ces municipalités a été de 66 %, entre les années 2016 et 2021.

Dans le quartier de Tétreaultville, l’urbanisme s’est tout de même amélioré dans les dernières années. Des rues ont été converties en sens unique. Des voies cyclables délimitées par de la peinture — et parfois des bollards — ont été ajoutées. Des passages pour piétons ont été aménagés.

Mais ce n’est pas suffisant, fait valoir Philippe Roy. Des lignes de peinture et des panneaux de signalisation, ça ne ralentit pas les automobilistes. Il est convaincu qu’on doit obliger les conducteurs à lever le pied de l’accélérateur en plaçant des dos-d’âne, des saillies de trottoir, des bacs à fleurs et d’autres obstacles sur la chaussée.

Reportage en format microvidéo (reel) :arrow_heading_down:

«C’est dangereux de marcher en ville. En tant que piéton, j’ai l’impression d’être invisible.» Philippe Roy, un résident du quartier de Tétreaultville, vit de la frustration matin et soir en marchant entre chez lui et la station de métro Honoré-Beaugrand. À quoi ressemble son quotidien comme piéton dans l’est de Montréal? «Le Devoir» a passé la matinée avec lui.

4 « J'aime »

En tant qu’usager de l’intersection Des Ormeaux/ De Teck dont il est question dans la vidéo, je peux confirmer que c’est une place qui me fait tout le temps peur à vélo. En fait, je ne comprends même pas pourquoi il n’a pas de piste cyclable à cet endroit parce que c’est le lien de prédilection entre Anjou et Tétreaultville.

Je trouve ça assez plate et même déjantée qu’il n’y ait pas de meilleur politique pour les “stroads”, les gros chars et les mauvais conducteurs au provincial. Toutes ces choses finissent par nous coûter cher en santé et en argent collectivement. Il y a beaucoup de rues à Montréal qui sont devenues des stroads et ça rend des quartiers bruyants et sals. Il me semble qu’il avait moins de voitures dans les années 90-2000 (il faut dire que la ville était peut-être moins étendue et moins belle dans le temps).

2 « J'aime »

L’arrondissement CDN-NDG a mis en ligne une page d’info sur les mesures d’apaisement de la circulation et les délais pour les implanter à la suite de demandes citoyennes

3 « J'aime »

How is a crosswalk to nothing, with a bus stop without a sidewalk on the side of a busy road, legally allowed:


But then curb cut alleyways, driveways, or continuous sidewalks/crossings are illegal??

7 « J'aime »


Saint Patrick is ridiculous for this

No crossings either

6 « J'aime »

A bit off-topic, in the winter, I bike on this road since the Lacine Canal is not maintained. It is not safe and not comfortable.

At the intersection with Pitt (near Messorem) they added a stop sign few years ago, at least it is easier to cross the street there and it slows a bit the traffic. (But it is not the most respected stop signs when it is rish hour tough).

:frowning_face:

Intersection René-Lévesques/Crescent…

Une femme de 46 ans est décédée après avoir été heurtée par une voiture au centre-ville de Montréal.

Le Service de police de la Ville de Montréal (SPVM) a reçu plusieurs appels 911 à 2 h 15 pour signaler l’incident survenu à l’angle du boulevard René-Lévesque et de la rue Crescent.

Le conducteur, âgé de 24 ans, n’a pas été blessé.

«La police a arrêté le conducteur pour conduite en état d’ébriété», a affirmé Mme Chèvrefils. «Il a été transporté dans un centre d’enquête pour y subir un alcootest.»

2 « J'aime »

En tant que Verdunois, j’ai vraiment hâte que les intersections ciblées reçoivent leurs mesures de sécurisations. C’est bien de voir que l’arrondissement constate les enjeux, mais des lignes au sol n’arrête aucun automobiliste (les bollards non plus, regardez la piste cyclable sur la rue Verdun :wink: )

2 « J'aime »

LaSalle has made some of the worst sidewalk projections I’ve ever seen. There’s not even accessible bumps at the edges. You can see the difference of design from the Sud-Ouest design across the street which is higher quality:

Additionally they added a projection and crossing at Viola-Desmond (without accessible bumps), but have since removed the crosswalk marking, and kept the projection. Now there’s a ramp into fast traffic :man_facepalming:

Rue Allard which this crosses has insanely massive lanes, 4.5 metres wide, for a residential road, plus parking on each side, despite the buildings all having their own parking lots. This street NEEDS to be redesigned, it’s extremely hostile for the thousands of people that live here

8 « J'aime »

C’est une “blague”!? Le pire dans tout ça, c’est que je doute qu’on lui retire son permis. Faudra un jour que collectivement on considère le permis de conduire comme un privilège et non un droit absolu…

5 « J'aime »

I’ve shared before, but in Alberta, the traffic lights can be installed before an intersection, to force drivers to stop at the stop line to be able to see. Here you can see each traffic light for each lane, similar to in the Netherlands:

When we compare to here, like on Berri, the traffic lights after the intersection means drivers have to look further, will more likely miss the stop line, and there’s not a traffic light per lane:

I think Quebec should allow traffic lights before intersections like this as it’s way more clear. I’ve only seen them before intersections at roundabouts with traffic signals, like in Dorval

16 « J'aime »

N’ayant pas d’opinion définitive sur le sujet (bien que j’aille une préférence instinctive pour le modèle européen), j’ai posé la question suivante à Google Gemini :slight_smile: :

Pour quelle raison les feux de circulation sont-ils placé après l’intersection en Amérique du Nord, et avant l’intersection, au niveau de la ligne d’arrêt, dans bien d’autres pays (en Europe notamment) ?

En bref,

  • Amérique du Nord (Far-Side) : Priorise la visibilité continue du feu pour le conducteur arrêté à la ligne.

  • Europe (Near-Side) : Priorise l’association directe du feu avec la ligne d’arrêt et la prévention de l’entrée prématurée dans l’intersection.

Réponse longue de l’IA

C’est une excellente question qui touche aux différences de conception et de priorités en matière de sécurité routière entre les régions. Il n’y a pas une seule raison “officielle” gravée dans le marbre, mais plutôt un ensemble de facteurs historiques, culturels et techniques qui expliquent ces différences.

Voici les principales raisons invoquées pour chaque système :

1. Placement après l’intersection (Amérique du Nord - “Far-Side”)

  • Visibilité pour le premier véhicule arrêté : L’argument principal est que lorsque vous êtes le premier véhicule à la ligne d’arrêt, le feu placé de l’autre côté de l’intersection est directement dans votre champ de vision. Vous n’avez pas besoin de vous pencher ou de lever la tête excessivement pour voir le signal changer.

  • Visibilité pour les véhicules tournants : Pour les véhicules effectuant un virage (surtout à gauche, courant en Amérique du Nord où l’on roule à droite), avoir le feu de l’autre côté permet de mieux surveiller à la fois le signal et le trafic venant en sens inverse ou les piétons traversant.

  • Visibilité à distance : Certains argumentent que les feux suspendus au-dessus ou après l’intersection sont plus visibles de loin lorsqu’on approche.

  • Moins d’obstruction perçue : Le poteau du feu ne se trouve pas juste à côté de la ligne d’arrêt, ce qui peut donner une sensation d’espace plus ouvert.

  • Standardisation historique : Une fois qu’une norme est établie et largement adoptée sur un continent, il est complexe et coûteux de la changer.

2. Placement avant l’intersection / à la ligne d’arrêt (Europe et autres régions - “Near-Side”)

  • Association claire entre le feu et la ligne d’arrêt : Le feu est positionné exactement là où le véhicule doit s’arrêter. Cela renforce sans ambiguïté l’endroit de l’arrêt obligatoire au feu rouge.

  • Prévention de l’empiètement : Placer le feu avant l’intersection décourage les conducteurs de s’avancer dans le carrefour en attendant le vert. Le franchissement du feu correspond directement à l’entrée dans la zone de conflit.

  • Gestion des piétons : Ce positionnement est souvent mieux intégré avec les passages piétons qui se trouvent généralement juste avant l’intersection. Le même feu contrôle l’arrêt des véhicules avant la zone où les piétons traversent.

  • Utilisation de répétiteurs : Pour pallier le problème de visibilité pour le premier véhicule arrêté (qui peut avoir le feu principal au-dessus ou juste à côté, hors de son champ de vision immédiat), de nombreux pays européens utilisent des “répétiteurs” : des feux plus petits placés à hauteur des yeux du conducteur, sur le même poteau ou de l’autre côté de la rue, mais toujours avant l’intersection.

  • Adaptation aux rues plus étroites/complexes : Dans les centres-villes historiques européens aux rues souvent plus étroites et aux intersections moins standardisées, placer les feux avant l’intersection peut être plus simple et moins encombrant que d’installer des portiques ou des potences traversant tout le carrefour.

En résumé :

  • Amérique du Nord (Far-Side) : Priorise la visibilité continue du feu pour le conducteur arrêté à la ligne.

  • Europe (Near-Side) : Priorise l’association directe du feu avec la ligne d’arrêt et la prévention de l’entrée prématurée dans l’intersection.

Les deux systèmes ont leurs avantages et inconvénients, et les conducteurs sont habitués au système en vigueur dans leur région. Il s’agit fondamentalement de philosophies de conception différentes qui ont évolué indépendamment.

J’ai aussi trouvé que l’US Higway Code précise que « Le signal doit être positionné à au moins 12 mètres après la ligne de stop. » Ce qui semble être le cas de la solution albertaine au vu de la photo.

1 « J'aime »

Tout à fait, d’ailleurs il y a même un angle maximum qui est considéré acceptable pour qu’un feu soit visible depuis un véhicule. Puisqu’ils sont en hauteur au dessus des voies de circulation, il faut que la ligne d’arrêt soit assez loin derrière le feu. J’ai appris ça grâce à Road Guy Rob sur YouTube.

1 « J'aime »

Intéressant. Ce retrait de la ligne d’arrêt à l’avantage d’économiser sur les répétiteurs. Cependant, si le marquage au sol est effacé ou qu’il y a de la neige, il n’y a plus de concrétisation de la ligne d’arrêt.

J’ai observé à Paris qu’ils supprimaient les feux répétiteurs et reculaient les lignes d’arrêt avec des sas à vélos. (On dira que la question de la neige n’est pas un enjeu dans cette ville…)

3 « J'aime »

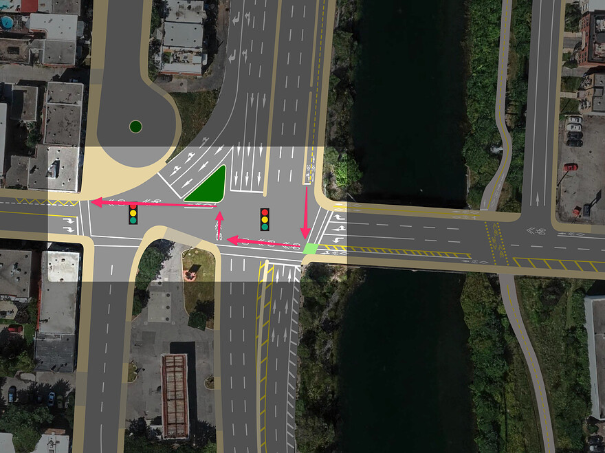
Je souhaite rapporter la méga-intersection de l’Église et de la Vérendrye qui est dangereuse pour les cyclistes. Cette intersection se situe entre les arrondissements du Sud-Ouest et de Verdun. Je vous laisse indentier les lacunes, mais j’en ai souligné plusieurs ci-desous…

Configuration non-intuitive pour les cyclistes pour tourner à droite sur de l’Église à partir de la piste cyclable sur de la Vérendrye.

Configuration non-intuitive des pistes cyclables qui traversent le canal.

Absence de zone sécuritaire pour les cyclistes pour attendre le feu vert.

Passage non protégé pour les cyclistes qui circulent sur la piste cyclable de l’Aqueduc et qui traversent la rue de l’Église.

12 « J'aime »