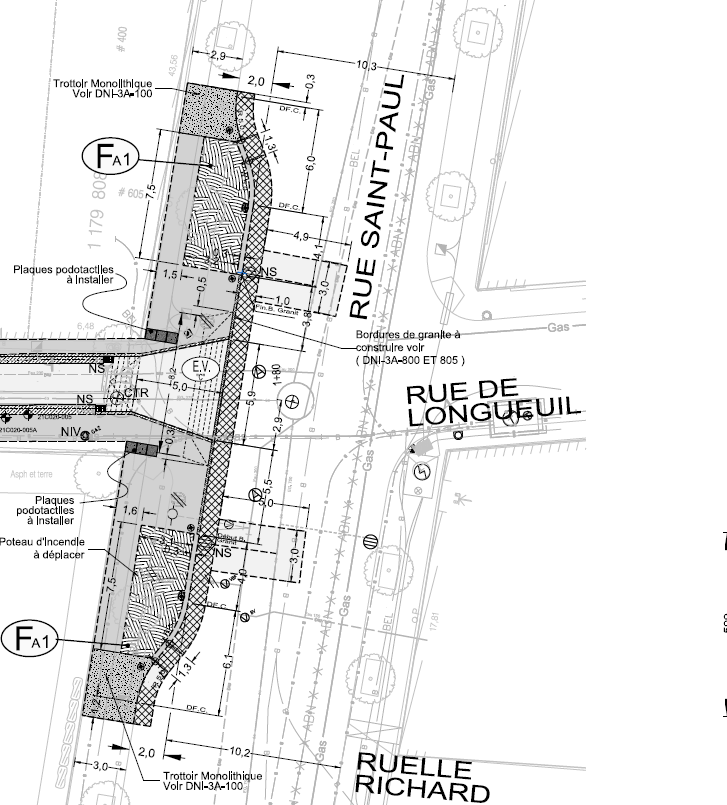
Les coins droits des trottoirs sont dans les plans de l’appel d’offres
Nouveau URL pour l’AOP : 462910 /1823701
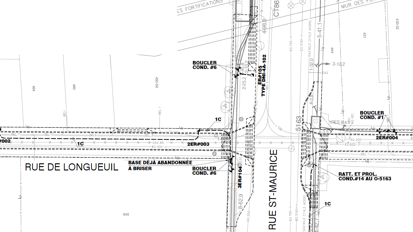
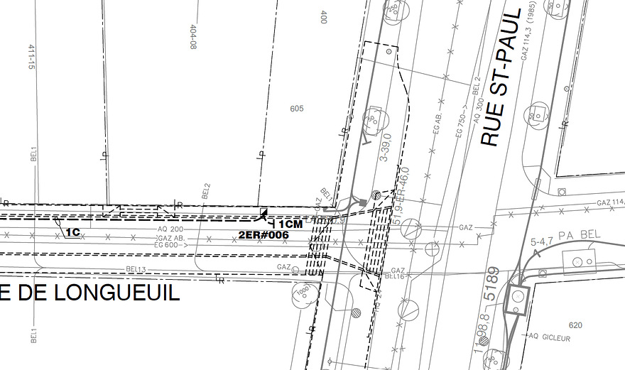
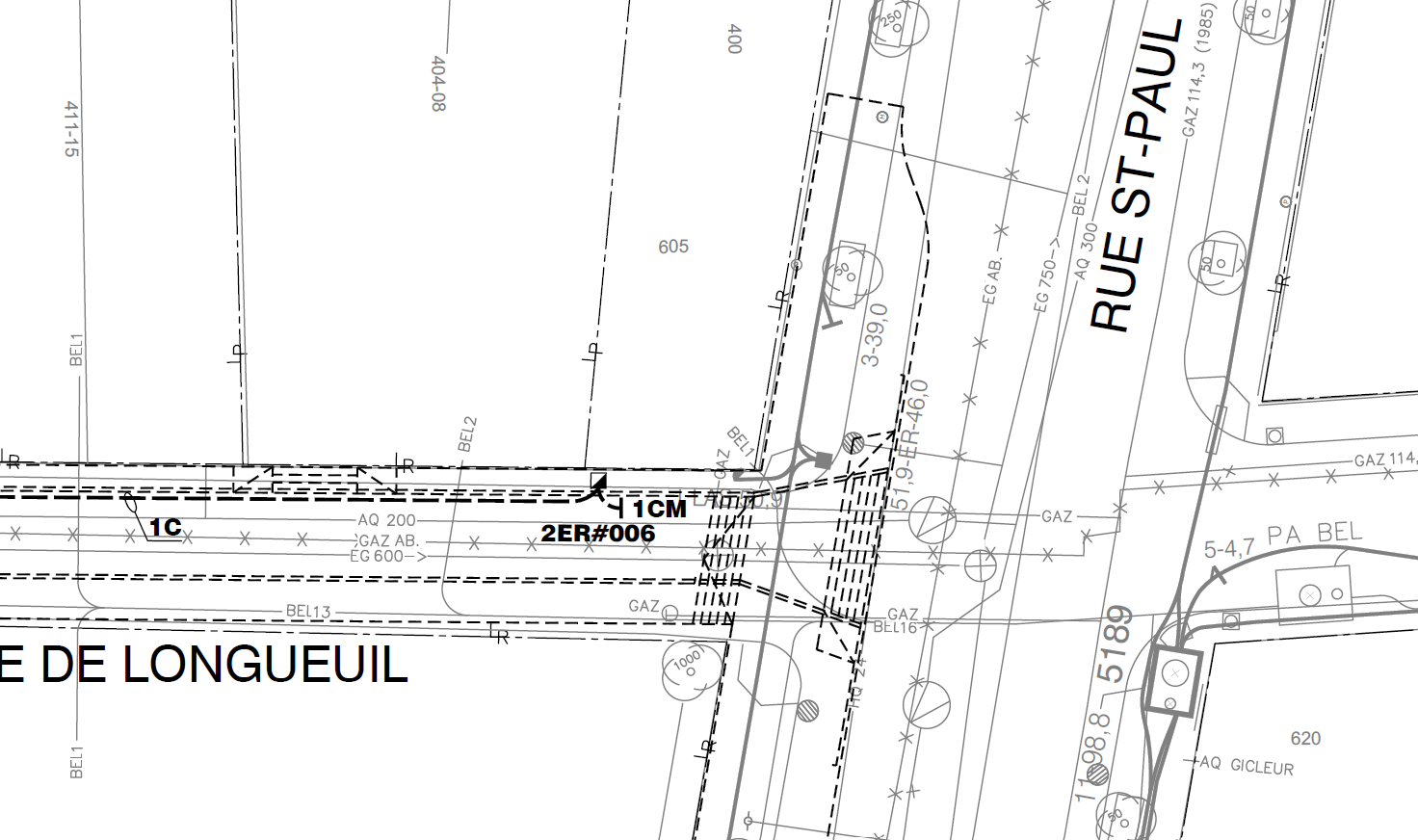
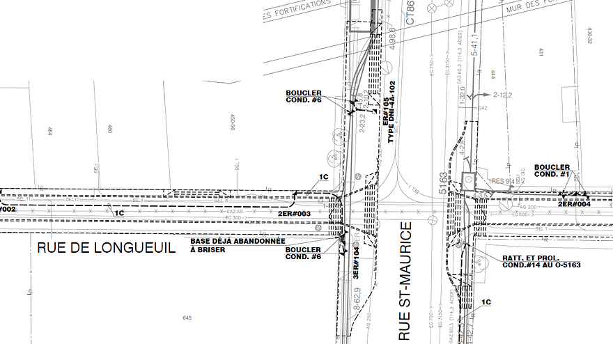
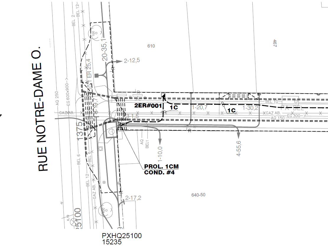
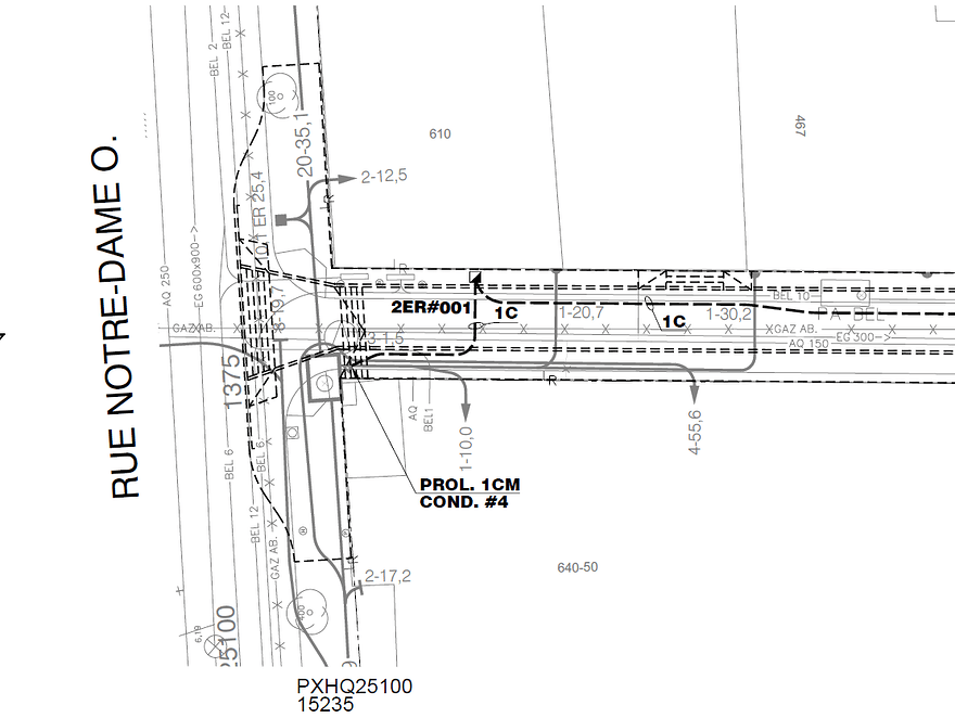
Les trois intersections : Saint-Paul, Saint-Maurice, Notre-Dame Ouest
Des trottoirs traversants?
Les coins droits des trottoirs sont dans les plans de l’appel d’offres
Nouveau URL pour l’AOP : 462910 /1823701
Les trois intersections : Saint-Paul, Saint-Maurice, Notre-Dame Ouest
Des trottoirs traversants?