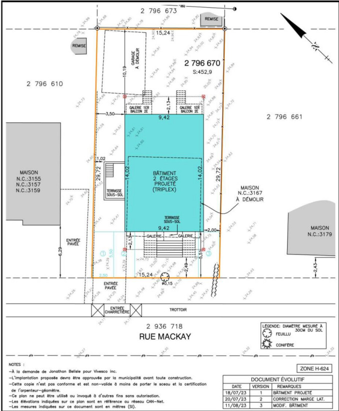
La démolition d’une maison unifamiliale pour construire une habitation trifamiliale de structure isolée.
Informations
Nom:
Emplacement: 3167, rue Mackay
Hauteur: 2 étages
Architecte:
Promoteur:
Début et fin de la construction:
Dates importantes:
- Comité de démolition - 24 septembre 2024
Autres informations:
Sources des informations:




